Nasz serwis wykorzystuje pliki cookies do przechowywania informacji na Twoim komputerze. Są one wykorzystywane w celu zapewnienia poprawnego działania serwisu. W każdej chwili możesz dokonać zmiany ustawień dot. przechowywania plików cookies w Twojej przeglądarce. Korzystając z serwisu wyrażasz zgodę na przechowywanie plików cookies na Twoim komputerze.





| Lp. | Procedura sporządzania MPZP | Terminy |
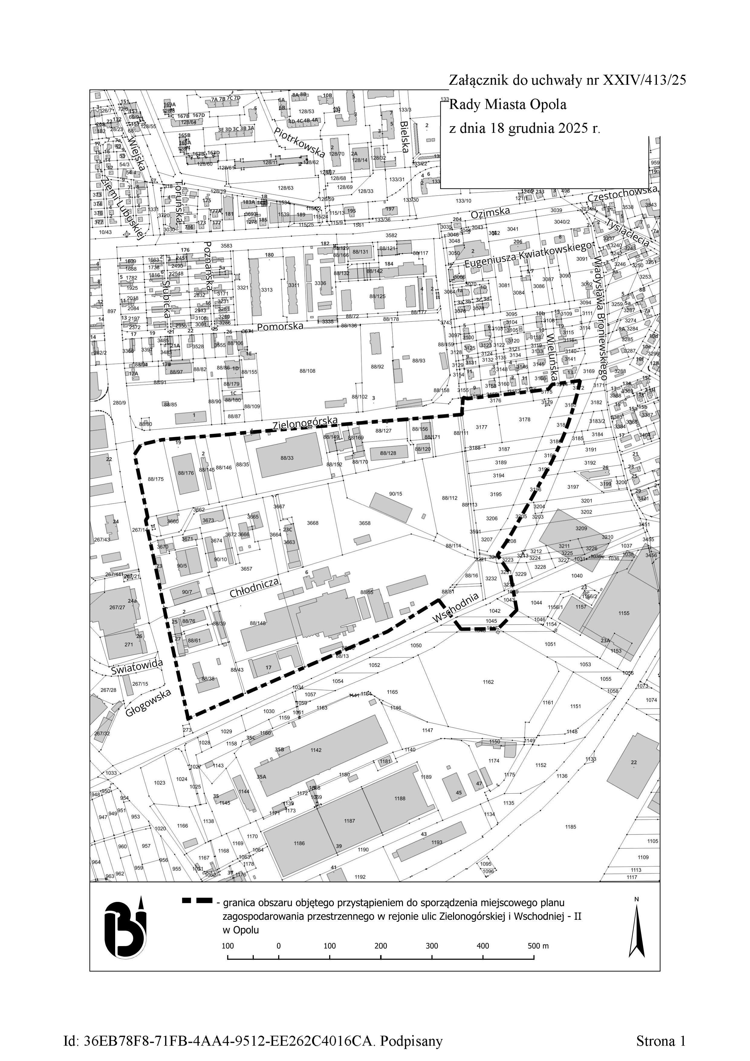
| I. | Uchwała nr XXIV/413/25 Rady Miasta Opola z dnia 18 grudnia 2025 r. w sprawie przystąpienia do sporządzenia miejscowego planu zagospodarowania przestrzennego w rejonie ulic: Zielonogórskiej i Wschodniej - II w Opolu
Dane przestrzenne: | 18 grudnia 2025 r. |
| II | Ogłoszenie, obwieszczenie i zawiadomienie o przystąpieniu do sporządzenia mpzp | 26 stycznia 2026 r. |
Składanie wniosków do mpzp Wnioski należy składać na formularzu: Pismo dotyczące aktu planowania przestrzennego (pdf) (docx) | do 16 lutego 2026 r. | |
| Wykaz wniosków do projektu mpzp wraz z propozycją ich rozpatrzenia i uzasadnieniem | ||
| III | Opiniowanie i uzgadnianie projektu mpzp | |
| IV | Ogłoszenie i obwieszczenie o rozpoczęciu konsultacji społecznych do projektu mpzp | |
Konsultacje społeczne |
| |
Raport z konsultacji społecznych | ||
| V. | Uchwała w sprawie uchwalenia miejscowego planu zagospodarowania przestrzennego | |
| Ogłoszenie mpzp w Dzienniku Urzędowym Województwa Opolskiego |
| Lp | Nazwa | Opis | Typ | Rozmiar | Data | dataUdost | dataMod | creating | modifier | Opcje |
|---|---|---|---|---|---|---|---|---|---|---|
| Lp | Nazwa | Opis | Typ | Rozmiar | Data | dataUdost | dataMod | creating | modifier | Opcje |
| Informacje | |
|---|---|
| Ilość odwiedzin: | 650 |
| Podmiot udostępniający: | Urząd Miasta Opola |
| Nazwa dokumentu: | C195 - Miejscowy plan zagospodarowania przestrzennego w rejonie ulic: Zielonogórskiej i Wschodniej - II w Opolu |
| Skrócony opis: | |
| Osoba, która wytworzyła informację: | Magdalena Langer |
| Osoba, która udostępnia informację: | Magdalena Langer |
| Data wytworzenia informacji: | 22.12.2025 08:15:42 |
| Data udostępnienia informacji: | 22.12.2025 11:06:40 |
| Data ostatniej aktualizacji: | 24.02.2026 12:23:21 |
| Rejestr zmian | |